Restos de Colecção: Instituto Dr. Navarro de Paiva

14 de junho de 2018

Instituto Dr. Navarro de Paiva

O “Instituto Dr. Navarro de Paiva” foi criado, pelo Decreto nº 18.375, de 17 de Maio de 1930, enquanto entidade destinada ao internamento de menores, entre 9 e 16 anos, delinquentes e indisciplinados do sexo masculino, portadores de deficiência mental e sujeitos à jurisdição dos tribunais de menores, constituindo-se um serviço especial do Refúgio Anexo à “Tutoria Central da Infância de Lisboa”.

O juiz conselheiro Dr. José da Cunha Navarro de Paiva deixa, em 1924, um legado testamentário destinado à fundação de uma instituição para a reeducação de menores delinquentes. Por consequência, e pela Portaria nº 3.981, de 7 de Abril de 1924, o Estado aceita o legado testamentário do juiz conselheiro Navarro de Paiva, de 670 contos (670.000$00), que é entregue à “Administração e Inspecção-Geral dos Serviços Jurisdicionais de Menores”, organismo responsável pela jurisdição de menores, optando-se pela criação de um instituto destinado a menores delinquentes portadores de deficiência mental. A Portaria 4.882 de 6 de Maio de 1927, viria a classificar os menores delinquentes em categorias e respectivas medidas privativas da liberdade, incluindo os classificados de «anormais».

Em Maio de 1931 é apresentado o anteprojecto do “Instituto Dr. Navarro de Paiva” no “IIº Salão dos Independentes”, ocorrido na “Sociedade Nacional de Belas Artes” em Lisboa. Em 17 de Dezembro são transferidos para o “Reformatório Padre António de Oliveira” 12 «anormais patológicos», devido à carência de instalações adequadas.

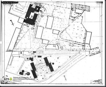
Em 1932, a “Direcção Geral dos Serviços Jurisdicionais de Menores” (DGSJM) adquire uma propriedade, situada na Estrada de Benfica, com cerca de 10.000 m², que integra duas antigas construções localizadas junto à estrada e um terceiro pavilhão, com uma área de 465 m². A propriedade situa-se na imediação de outros equipamentos afectos aos Serviços Tutelares de Menores, nomeadamente: a Secção Agrícola do Refúgio da Tutoria Central da Infância, que confina o terreno a Sueste; a residência do Director do Refúgio do Tribunal Central de Menores e o Reformatório Feminino de Lisboa, fronteiro ao Instituto, instalado desde 1928 na Quinta da Infanta.

 

O projecto definitivo do “Instituto Dr. Navarro de Paiva”, elaborado pelo arquitecto Carlos Chambers Ramos, viria a ser aprovado em Janeiro de 1932. O conjunto a construir compunha-se de 7 pavilhões, três deles ligados por galeria coberta a outros três edifícios, traduzindo uma organização funcional e um programa reeducativo assente no conceito de pequeno grupo ou família. O Instituto, com capacidade para internar 45 menores, dispunha ainda de um Patronato, campos de cultivo e áreas de recreio. A sua construção seria iniciada em 9 de janeiro de 1933, sob a coordenação da DGEMN, com um orçamento de 1.093.294$65.

Em 1934, as obras seriam suspensas por determinação superior do ministro das Obras Públicas e Comunicações, engº Duarte Pacheco, por falta de financiamento. Tinham sido construídos apenas 4 dos 7 pavilhões projectados: 2 destinados ao internato (B e C) e 2 correspondentes aos serviços comunitários (H e I); Em Maio de 1941 a obra era retomada. Com condições para albergar dois terços da lotação programada, ficam por construir um dos três pavilhões educacionais (D), um pavilhão destinado aos serviços da direcção, biblioteca, secretaria e economato (G) (funções temporariamente asseguradas pela direcção do Refúgio da Tutoria Central da Infância de Lisboa), a instalação eléctrica e o arranjo dos terrenos circundantes.

A inauguração dos pavilhões do “Instituto Dr. Navarro de Paiva”, tem lugar a 28 de Maio de 1957, com a presença do ministro da Justiça, João de Matos Antunes Varela, acompanhado pelo director do Instituto, Artur Oliveira Ramos (entre 1957 e 1961), João dos Santos e o arquitecto Carlos Ramos.

Entrada para o “Instituto Dr. Navarro de Paiva”

“Instituto Dr. Navarro de Paiva” em fotos de 1957

 

 

Em 1961, e através do Decreto-Lei n.º 42607, de 20 de Abril, o “Instituto Dr. Navarro de Paiva” deixa de estar sob a direcção do Refúgio, passando a depender directamente da DGSJTM. Alarga a sua actuação ao tratamento de menores do sexo feminino, mediante um acordo celebrado entre o Estado e o antigo “Instituto Médico-Pedagógico Condessa de Rilvas” . A secção feminina só seria inaugurada a 15 de Janeiro de 1979, funcionando, neste meio tempo, numa das alas do “Instituto de S. Domingos de Benfica”, posteriormente designado de “Colégio da Infanta”, desactivado em 1 Janeiro de 2001.

Entretanto, a “Direcção Geral de Serviços Tutelares de Menores”, elabora, em Maio de 1964, um projecto para a expansão das estruturas do Instituto, atendendo à necessidade de aumento da lotação, obtenção de máximo rendimento do funcionamento interno e às novas prerrogativas fixadas pela OTM, o que contempla as áreas de: internamento, semi-liberdade, consulta externa (tratamento e observação ambulatórios), serviços centrais, oficinas, zonas de convívio e de desporto, sala de leitura-estudo-biblioteca, sala para trabalhos manuais, residências para funcionários, bem como a remodelação das zonas de convívio, adaptação de dependências para psicoterapia, beneficiação dos lavabos, das dependências para armazenamento de víveres, lavandaria e rouparia, o arranjo da cozinha e o aproveitamento do ginásio existente para oficinas.

Em 1965,  o “Instituto Dr. Navarro de Paiva” já ultrapassava largamente a lotação prevista, obrigando à acomodação dos menores nos corredores dos dois pavilhões, que mantêm as funções originais ao nível do piso térreo, pelo que em Maio de 1965 é encetado um programa de obras para a ampliação e remodelação do Instituto elaborado pela Comissão das Construções Prisionais de acordo com as intenções fixadas pela DGSTM e pelo director Alambre dos Santos. Em 1970, dá-se a expansão do estabelecimento para Sul, ocupando a propriedade da antiga Secção Agrícola.

 

 

 

  

O Decreto-Lei nº 314/78 de 27 Outubro de 1978, introduz as primeiras alterações estruturais ao estabelecimento, que passa a designar-se “Instituto Médico-Psicológico Dr. Navarro de Paiva”, alargando o acolhimento dos menores até aos 18 anos. O texto legislativo vem reforçar a orientação estabelecida no sentido da reinserção social, pelo que a formação escolar, profissional e cultural dos menores passa a ser ministrada fora do estabelecimento, mantendo os regimes de funcionamento de internato e semi-internato, e acrescentando o serviço ambulatório. Em Janeiro de 1979, é iniciado o projecto de execução para os lares de semi-liberdade, consulta externa, Internato masculino, serviços administrativos e lares de semi-internato. Os lares de semi-internato seriam concluídos em Março de 1983.

Em 18 de Outubro de 1984, tem lugar o auto de entrega do edifício, e em Novembro do mesmo ano, adaptação do edifício projectado para os lares de semi-liberdade, internato e consulta externa e para as actividades do “Registo Nacional de Pessoas Colectivas”. A 8 de Agosto de 1989, e face à deterioração dos pavilhões e sua permanente sobrelotação, os edifícios previstos para lares de semi-liberdade foram ocupados pelos menores, rapazes e raparigas, que embora instalados em alas distintas partilhavam as zonas de refeitório e a formação escolar. Nos pavilhões implantados na plataforma Norte passavam a funcionar a direcção, os serviços administrativos, o ginásio e oficinas, a rouparia e lavandaria.

O Decreto-Lei nº 58/95, de 31 de Março 1995, extingue a “Direcção Geral dos Serviços Tutelares de Menores” e publica a Lei Orgânica do “Instituto de Reinserção Social”. O Instituto sofre algumas alterações significativas ao nível do seu funcionamento e organização internos, alterando-se a sua designação para “Colégio Dr. Navarro de Paiva”, que a partir de 14 de Setembro de 1999, passaria a designar-se por “Centro Educativo Dr. Navarro de Paiva”. Este viria a acolher e a cumprir medidas tutelares a menores e jovens com idades compreendidas entre os 12 e 16 anos, que embora portadores de quadros psicopatológicos, apresentem suficientes capacidades cognitivas para a compreensão da medida aplicada

 

A partir de 20 de Dezembro de 2000, o “Centro Educativo Dr. Navarro de Paiva” passa a acolher e executar medidas tutelares a jovens de ambos os sexos, entre os 12 e os 21 anos de idade, apenas em regime semi-aberto, extinguindo-se a sua acção no domínio médico-psicológico.

fotos in: Delcampe.net, Arquivo Municipal de Lisboa, Biblioteca de Arte-Fundação Calouste Gulbenkian (Estúdio Mário Novais), SIPA - Sistema de Informação para o Património Arquitectónico 

Sem comentários: